PREVISÃO DO TEMPO PARA A SUA CIDADE
Em sendo produto automatizado, não deve ser usado como referência em situação de risco meteorológico.
LOGIN
VEJA TAMBÉM
Inverno se prolonga com chuva, vento e frio quase em novembro
28 de outubro de 2025
A folhinha do calendário mostra 28 de outubro, mas quase em novembro o inverno se prolonga com...
-
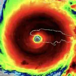
Melissa toca terra na Jamaica como um dos piores furacões da história
28 de outubro de 2025
-
Meteorologista Estael Sias: destruição na Jamaica será inimaginável
28 de outubro de 2025
-
Bestial furacão Melissa ganha força, supera Katrina e vai causar devastação
28 de outubro de 2025
-
Por que não se usa bomba atômica para tentar parar um furacão
28 de outubro de 2025
-
Baixa pressão traz grande mudança do tempo hoje com chuva e temporais
28 de outubro de 2025
-
Grande massa de ar frio avança pelo interior da América do Sul com neve e gelo
27 de outubro de 2025
-
Piloto faz vídeos impressionantes no olho do furacão com vento de 380 km/h
27 de outubro de 2025
-
O que meteorologistas encontraram no olho do furacão monstro no Caribe; veja vídeo
27 de outubro de 2025
-
São Paulo ingressará em período de instabilidade com muitos dias de chuva
27 de outubro de 2025
VEJA TAMBÉM
Inverno se prolonga com chuva, vento e frio quase em novembro
28 de outubro de 2025
A folhinha do calendário mostra 28 de outubro, mas quase em novembro o inverno se prolonga com...
-
Melissa toca terra na Jamaica como um dos piores furacões da história
28 de outubro de 2025
-
Meteorologista Estael Sias: destruição na Jamaica será inimaginável
28 de outubro de 2025
-
Bestial furacão Melissa ganha força, supera Katrina e vai causar devastação
28 de outubro de 2025
-
Por que não se usa bomba atômica para tentar parar um furacão
28 de outubro de 2025
-
Baixa pressão traz grande mudança do tempo hoje com chuva e temporais
28 de outubro de 2025
-
Grande massa de ar frio avança pelo interior da América do Sul com neve e gelo
27 de outubro de 2025
-
Piloto faz vídeos impressionantes no olho do furacão com vento de 380 km/h
27 de outubro de 2025
-
O que meteorologistas encontraram no olho do furacão monstro no Caribe; veja vídeo
27 de outubro de 2025
-
São Paulo ingressará em período de instabilidade com muitos dias de chuva
27 de outubro de 2025
CLIMA
Como será o clima na segunda metade de outubro
16 de outubro de 2025
A primeira metade de outubro foi marcada principalmente pelo aumento na frequência da chuva com o...
-
La Niña acende alerta no setor rural da Argentina após anos de secas
15 de outubro de 2025
-
Meteorologista Estael Sias: como entender o anúncio da NOAA de La Niña?
13 de outubro de 2025
-
Volta da La Niña pode turbinar final da temporada de furacões do Atlântico
12 de outubro de 2025
-
La Niña está de volta com impactos no clima do Brasil e mundo, anuncia NOAA
9 de outubro de 2025
-
Como o clima se transformou entre as duas “mortes” de Odete Roitman
6 de outubro de 2025
-
Como será o clima em outubro: vem aí outro mês de muitos extremos
28 de setembro de 2025
-
Primavera começa sem La Niña no Pacífico, mas até quando?
26 de setembro de 2025
-
Como será o clima na primavera
21 de setembro de 2025
-
Segunda metade do mês terá aumento da chuva, temporais, calor e frio
16 de setembro de 2025
CLIMA
Como será o clima na segunda metade de outubro
16 de outubro de 2025
A primeira metade de outubro foi marcada principalmente pelo aumento na frequência da chuva com o...
-
La Niña acende alerta no setor rural da Argentina após anos de secas
15 de outubro de 2025
-
Meteorologista Estael Sias: como entender o anúncio da NOAA de La Niña?
13 de outubro de 2025
-
Volta da La Niña pode turbinar final da temporada de furacões do Atlântico
12 de outubro de 2025
-
La Niña está de volta com impactos no clima do Brasil e mundo, anuncia NOAA
9 de outubro de 2025
-
Como o clima se transformou entre as duas “mortes” de Odete Roitman
6 de outubro de 2025
-
Como será o clima em outubro: vem aí outro mês de muitos extremos
28 de setembro de 2025
-
Primavera começa sem La Niña no Pacífico, mas até quando?
26 de setembro de 2025
-
Como será o clima na primavera
21 de setembro de 2025
-
Segunda metade do mês terá aumento da chuva, temporais, calor e frio
16 de setembro de 2025
Rio Grande do Sul
Sul do Brasil será atingido por chuva frequente nos próximos dias
27 de outubro de 2025
A semana que se inicia terá chuva frequente no Sul do Brasil com instabilidade persistente...
-
Frente fria avança e atinge nove estados neste começo de semana
26 de outubro de 2025
-
Duas massas de ar frio vão alcançar o Brasil em apenas dez dias
26 de outubro de 2025
Santa Catarina
Chuva volumosa vai atingir o Sul do Brasil na semana; veja os volumes e áreas atingidas
26 de outubro de 2025
Frente semi-estacionária vai trazer volumes elevados de chuva nesta semana no Sul do Brasil com...
-
Nova frente fria avança neste fim de semana e muda o tempo; veja tudo o que sabemos
25 de outubro de 2025
-
Grande massa de ar frio avançará no fim do mês com baixas temperaturas
23 de outubro de 2025
Paraná
Previsão do tempo: tendência de chuva para dez dias no Brasil
22 de outubro de 2025
A chuva no Brasil nos próximos dez dias será abrangente e com volumes localmente altos que podem...
-
Nova frente fria já tem data para chegar e trará outra reviravolta no tempo
21 de outubro de 2025
Sudeste
Inverno se prolonga com chuva, vento e frio quase em novembro
28 de outubro de 2025
A folhinha do calendário mostra 28 de outubro, mas quase em novembro o inverno se prolonga com...
-
Grande massa de ar frio avança pelo interior da América do Sul com neve e gelo
27 de outubro de 2025