O cenário não poderia ser pior e observar os dados com projeções de vento e chuva chega a ser desolador e a dar um nó no estômago ante o potencial catastrófico para a Jamaica e países próximos com o avanço deste furacão Melissa que terá intensidade extrema para não dizer brutal.

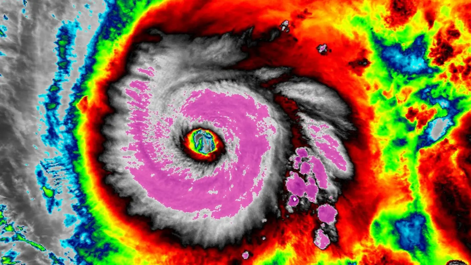
Furacão Melissa na imagem de satélite na manhã deste domingo | NOAA
O furacão Melissa passou por um processo de intensificação explosiva no Caribe, como esperado nas últimas horas, e de ontem para hoje passou de mera tempestade tropical para um furacão categoria 4 nas primeiras horas deste domingo.
Agora, há potencial para intensificação ainda maior e Melissa pode atingir neste começo de semana a categoria 5, o máximo da escala Saffir-Simpson de furacões no Atlântico, com ventos sustentado acima de 250 km/h e rajadas ao redor dos 300 km/h, se não superiores.
Segundo o Centro Nacional de Furacões (NHC), o sistema estava na manhã deste domingo a cerca de 190 quilômetros ao Sul-sudeste de Kingston (capital da Jamaica) e avança muito lentamente, o que, junto com a intensidade extrema do sistema, fará com que a Jamaica sofra por dias seguidos com vento arrasador e volumes de chuva colossais.
Colegas meteorologistas nos Estados Unidos especializados em ciclones tropicais são unânimes em indicar que este furacão entrará para a história e que o cenário para a Jamaica é aterrador, o pior possível.
O cenário é tão grave que o sempre comedido Centro Nacional de Furacões dos Estados Unidos (NHC) passou a usar uma linguagem muito dura e alarmante, advertindo para uma catástrofe na região. O NHC emitiu um aviso enfático para que a população “busque abrigo imediatamente”, prevendo “danos extensos à infraestrutura, longas interrupções no fornecimento de energia e nas comunicações, e possível isolamento prolongado de comunidades” .
Mesmo antes da chegada do olho do furacão, já se espera tempo extremo com ventos e precipitações intensas neste domingo e segunda-feira. Após cruzar a ilha jamaicana, o furacão deve seguir em direção a Cuba, Bahamas e Turks e Caicos, onde há risco crescente de chuvas intensas, ventos destrutivos e elevação perigosa do nível do mar. A previsão é de que o impacto total de Melissa seja prolongado, severo e de proporções históricas para a região.
Melissa ameaça Jamaica e o Sul do Haiti com combinação potencialmente catastrófica de ventos extremos, chuva devastadora e marés de tempestade de magnitude raramente observada no Caribe.
Há um consenso o país caribenho famoso pelo reggae pode enfrentar um desastre sem precedentes na sua história moderna, com impactos que poderiam rivalizar, ou até superar, os provocados pelo lendário furacão Gilbert, em 1988.
Melissa reúne todos os elementos que caracterizam uma catástrofe tropical: águas oceânicas excepcionalmente quentes, uma estrutura simétrica e compacta, e um padrão atmosférico que favorece a intensificação rápida e a permanência prolongada de chuva torrencial sobre o terreno acidentado da ilha.
O furacão se formou sobre o centro do Caribe em um ambiente de calor oceânico recorde. As temperaturas da superfície do mar, superiores a 30°C, se estendem a até 200 metros de profundidade, o que é altamente incomum, funcionando como uma usina com enorme quantidade de energia para garantir intensificação explosiva e manter Melissa com extrema intensidade.
O impacto de Melissa será catastrófico e chocante. Muitas vezes já vimos furacões (tufões) no Atlântico Norte e Pacífico causaram devastação com passagens rápidas. Este furacão impactará a Jamaica com violência extrema por dois a três dias, com potencial de arrasar partes inteiras do país.
O olho do furacão deverá cruzar a ilha de Sudoeste para Nordeste, colocando quase toda a Jamaica sob o quadrante mais perigoso da tempestade, onde se concentram os ventos mais intensos e a maior maré de tempestade.
Essa maré — o empilhamento de água provocado pela pressão atmosférica muito baixa e pelos ventos empurrando o mar em direção à costa — poderá elevar o nível do mar em muitos metros, especialmente entre Savanna-la-Mar e a capital Kingston. Combinada à altura das ondas, que podem superar dez metros, a costa poderá ser varrida por uma parede de água, como tsunami, arrasando estruturas costeiras, portos e comunidades pesqueiras.
Enquanto os ventos e a maré representam o impacto imediato e violento, a chuva associada a Melissa poderá causar uma destruição ainda pior e se trata do maior risco neste furacão.
O sistema carrega consigo uma quantidade absurda de umidade tropical e a interação com as montanhas do interior da Jamaica e do Sul do Haiti deve produzir acumulados extraordinariamente altos.
Os modelos numéricos indicam que podem cair mais de 1000 mm de chuva em menos de 72 horas nas encostas da Cordilheira Azul e nas montanhas do departamento haitiano do Sul. Há simulações por modelos gerados com inteligência artificial indicando até mais de 1500 (mil e quinhentos) mm em três a quatro dias. Não à toa o meteorologista da Flórida Jeff Berardelli descreveu em suas redes sociais a chuva como “bíblica”.
Em regiões com declives acentuados, solos saturados e ocupação irregular, isso representa risco terrível de deslizamentos e enchentes repentinas. O relevo jamaicano amplifica o perigo. A ilha é pequena, mas as montanhosa Blue Mountains atingem quase 2300 m de altitude e forçam o ar úmido a subir, condensando rapidamente a umidade em chuva torrencial (chuva orográfica).

Projeção de chuva para quatro dias no Caribe do NHC | NHC/NOAA
Essa orografia faz com que ciclones tropicais que passem sobre a Jamaica depositem volumes de precipitação muito superiores aos de sistemas equivalentes sobre o mar ou em ilhas menores.
Em 1988, o furacão Gilbert deixou acumulados máximos de 700 mm em 48 horas, números já devastadores. Agora, com uma atmosfera mais quente e úmida e uma trajetória mais lenta, Melissa vai superar com folga essa marca, colocando comunidades inteiras em risco de soterramento e isolamento.
Outro fator agravante é o estado de vulnerabilidade da infraestrutura jamaicana. Nas últimas décadas, o país sofreu erosão costeira acelerada, desmatamento nas encostas e urbanização desordenada em áreas de risco. Muitos bairros de Kingston e Montego Bay cresceram sobre terrenos alagadiços, e a drenagem pluvial é precária.
O colapso de sistemas de esgoto e energia é considerado inevitável se os ventos realmente atingirem velocidades superiores a 200 km/h. Além disso, a principal rodovia costeira que liga o Oeste ao Leste do país corre junto ao mar em vários trechos e pode ser destruída pela maré de tempestade.
A ameaça também se estende ao Haiti, sobretudo à península meridional, ainda marcada pelos efeitos do terremoto de 2021 e de inundações recentes. A topografia abrupta e o desmatamento extremo aumentam a suscetibilidade a deslizamentos e corridas de lama.
As chuvas de Melissa poderão provocar enchentes catastróficas em cidades como Les Cayes e Jérémie, com a possibilidade de rios transbordarem e levarem pontes e estradas. Meteorologistas da região alertam que, para o Haiti, o principal perigo não são os ventos, e sim a chuva e deslizamentos, que podem causar centenas de mortes, como já ocorreu em outros ciclones que afetaram o país, entre eles Jeanne, em 2004, e Matthew, em 2016.
Um aspecto que torna Melissa particularmente perigosa é sua lentidão. Ao interagir com um sistema de alta pressão sobre o Atlântico e outro sobre a América Central, o furacão deverá desacelerar consideravelmente ao cruzar a Jamaica.

Projeção de rora para Melissa | TOMER BURG
Isso significa que a ilha pode permanecer sob ventos de furacão e chuvas torrenciais por um período anormalmente longo para uma área de só 240 km de extensão. A duração do evento agrava todos os impactos: mais tempo de vento de 200 km/h a 300 km/h causando devastação, mais horas de maré de tempestade empurrando o mar sobre as costas, e mais chuva extraordinária acumulando-se sobre o solo saturado.
Meteorologistas veteranos descrevem a situação como “uma confluência perfeita de fatores destrutivos”. A combinação de oceano excepcionalmente quente, ausência de cisalhamento (divergência de vento), topografia acidentada e trajetória lenta cria um cenário que poucas ilhas poderiam suportar.
Especialistas locais também destacam que, ao contrário de 1988, a densidade populacional e a exposição costeira da Jamaica aumentaram significativamente. Cidades como Negril, Portmore e Ocho Rios expandiram-se sobre áreas antes desabitadas, e resorts foram construídos junto à linha d’água.
Essas mudanças urbanas transformam Melissa em uma ameaça não apenas natural, mas também socioeconômica: os danos podem ultrapassar dezenas de bilhões de dólares, e o turismo — principal motor da economia jamaicana — pode levar anos para se recuperar.
Para o Haiti, os desafios são ainda maiores. O país enfrenta instabilidade política e uma grave crise humanitária, com metade da população em insegurança alimentar. A combinação de pobreza extrema, infraestrutura precária e solos fragilizados torna qualquer evento climático severo potencialmente desastroso.
Caso as previsões de chuva superior a 1000 mm se confirmem, o sul haitiano poderá experimentar uma sequência de deslizamentos e enchentes de magnitude comparável às tragédias de 2008 e 2016, mas sobre uma população ainda mais vulnerável.
Melissa, assim, representa uma das maiores ameaças meteorológicas já enfrentadas pelo Caribe. A expectativa é que, após cruzar a Jamaica, o furacão siga rumo a Cuba e eventualmente ao sudeste do Golfo do México, enfraquecido, mas ainda perigoso. Será um evento único na história meteorológica regional e, infelizmente, não se trata de se questionar se haverá ou não uma catástrofe e sim qual será a sua dimensão. Qualquer das respostas é terrível.
A MetSul Meteorologia está nos canais do WhatsApp. Inscreva-se aqui para ter acesso ao canal no aplicativo de mensagens e receber as previsões, alertas e informações sobre o que de mais importante ocorre no tempo e clima do Brasil e no mundo, com dados e informações exclusivos do nosso time de meteorologistas.
