Os voos dos aeronaves caça-furacões que ingressam no interior dos ciclones tropicais sobre o Atlântico Norte são determinantes para a qualidade o índice de acerto das previsões tanto de trajetória como de intensidade das tempestades tropicais. Ao chegar no centro dos ciclones, os meteorologistas e pilotos a bordo lançam uma sonda que coleta dados de vento e pressão que depois alimentam os modelos de computado que fazem as projeções.
VEJA ESPECIAL: BESTIAL FURACÃO IAN ATINGE A FLÓRIDA
As equipes da Força Aérea dos Estados Unidos, vinculadas à Administração Nacional de Oceanos e Atmosfera (NOAA) têm décadas de experiência neste tipo de voos. No caso do furacão Ian, pilotos que ingressaram no centro da tempestade nas últimas horas descreveram as viagens como as piores de sua carreira profissional.
Os caçadores de furacões continuam a voar no olho do furacão Ian para coletar dados essenciais para os meteorologistas do Centro Nacional de Furacões (NHC) mesmo após a tempestade ter tocado terra no meio da tarde desta quarta-feira. A divisão dos chamados Hurricane Hunters faz parte do Aircraft Reconnaissance do NHC, uma divisão da NOAA.
Depois de decolar da Base Aérea de Keesler em Biloxi, Mississippi, o repórter da FOX News Madison Scarpino passou nove horas em um voo Hurricane Hunter indo e voltando no olho do furacão Ian na quarta-feira, quando a tempestade de categoria 4 se aproximou da costa do Golfo da Flórida. “Foi uma loucura, a turbulência não foi ruim no começo, mas depois ficou horrível”, disse.
O piloto do caçador de furacões, major Kendall Dunn, do 53º Esquadrão de Reconhecimento Meteorológico, descreveu o voo como um dos mais difíceis de sua carreira. “A tempestade estava se intensificando rapidamente”, disse Dunn. “Fizemos uma tentativa para atravessar a parede do olho, mas a chuva era tão intensa que o radar estava apenas vendo além do nosso nariz”, narrou.
Quando o piloto conseguiu uma clareira para atravessar a parede do olho, eles experimentaram a pior turbulência da carreira de Dunn. O piloto caçador de furacões Major Kendall Dunn do 53º Esquadrão de Reconhecimento Meteorológico descreveu o voo para o furacão Ian de categoria 4 como um dos piores de sua carreira.
LONG but memorable day as I tagged along with @53rdWRS in a 10-hour mission into Hurricane #Ian today.
On the flight deck here for the 2nd eyewall penetration as it emerged from Cuba.
Watch the turbulence.
Listen to the nav systems say, "throttle, throttle" around the :12 mark pic.twitter.com/EjiM45GI62
— Steve Caparotta, Ph.D. (@SteveWAFB) September 28, 2022
Our flight also included the deployment of 8 Airborne Expendable BathyThermographs (AXBTs).
These measure the profile of ocean temperatures from the surface to ~400m.
I believe one recorded 28°C (82F) to a depth of ~130m (~400 ft).
That's plenty of hurricane fuel. #Ian pic.twitter.com/oC2NxCukGG
— Steve Caparotta, Ph.D. (@SteveWAFB) September 28, 2022
“Fomos abalados”, disse Dunn. “A aeronave foi basicamente superada em um ponto. Estávamos com a potência máxima, tentando ganhar velocidade. Estávamos basicamente mergulhando, perdendo ar. Foi uma bagunça. Foi a pior coisa que poderia acontecer como piloto”, descreveu.

Avião caça-furacões da NOAA faz missão no interior de Ian | NOAA

Avião da NOAA no interior do olho do furacãO Ian | NOAA

Dados coletados garantiram prognóstico preciso para Ian | NOAA
Os caçadores de furacões foram jogados em seus assentos e os equipamentos voaram enquanto voavam no olho de Ian, uma das tempestades mais poderosas a atingir os Estados Unidos até hoje. Vídeo feito pelo engenheiro da Administração Nacional de Oceanos e Atmosfera (NOAA), Nick Underwood, mostra a turbulência atingindo a aeronave quando ela ingressou no olho do furacão Ian nesta quarta-feira.
When I say this was the roughest flight of my career so far, I mean it. I have never seen the bunks come out like that. There was coffee everywhere. I have never felt such lateral motion.
Aboard Kermit (#NOAA42) this morning into Hurricane #Ian. Please stay safe out there. https://t.co/DQwqBwAE6v pic.twitter.com/gvV7WUJ6aS
— Tropical Nick Underwood (@TheAstroNick) September 28, 2022
Aftermath of the galley. pic.twitter.com/YsomJw2J5f
— Tropical Nick Underwood (@TheAstroNick) September 28, 2022
Ele exclamou “Oh merda!” com um enorme solavanco que quase fez ele e o resto da tripulação voarem. O equipamento podia ser ouvido batendo no chão. Os solavancos posteriores fizeram os colchões caírem. A turbulência foi severa e uma das piores já enfrentadas pelas tripulações neste tipo de voo.
OS VOOS CAÇA-FURACÕES
Por que os pilotos correm tamanho risco ao voar no centro dos furacões? Os cientistas a bordo lançam radiossondas no olho da tempestade a partir do avião que coletam dados como de pressão atmosférica e vento. Estes dados são fundamentais para saber a intensidade do ciclone e uma vez alimentados nos computadores permitem uma previsão mais precisa dos modelos meteorológicos sobre a sua intensidade e trajetória.
Como os aviões não se despedaçam? Os aviões geralmente não são destruídos por ventos fortes durante o vôo. As aeronaves em geral costumam voar em correntes de jato com ventos superiores a 250 km/h em diferentes partes do mundo.
É o cisalhamento, ou mudança repentina nos ventos horizontais ou verticais, que pode destruir uma aeronave ou causar sua perda de controle. É por isso que as aeronaves Hurricane Hunter da NOAA não passam por tornados.

NOAA
Os pilotos e a tripulação da NOAA estão acostumados a voar no ambiente de vento forte de um furacão e não temem que ele destrua o avião, mas estão sempre monitorando os pontos de tempo severo e cisalhamento que podem frequentemente identificar no radar e, assim, são capazes de evitar se forem muito severos.
Os Hurricane Hunters pertencem ao 53º Esquadrão de Reconhecimento Meteorológico que opera a partir da Base Aérea de Keesler em Biloxi, Mississippi. Seus membros traçam a origem da caça ao furacão desde 1943, quando dois então pilotos do Corpo de Aviação do Exército voaram em um furacão junto ao Texas.

NOAA
Apesar da severidade de tempestades como Ida e do perigo enorme no solo, os voos têm um incrível histórico de segurança. Nenhuma aeronave foi perdida em mais de quatro décadas. A última vez foi em 1974.
Cerca de seis aeronaves de caça a furacões ou tufões foram perdidas no total ao longo da história, custando 53 vidas. Hoje, as missões são realizadas em grande parte por reservistas da Força Aérea dos Estados Unidos que, após alguns dias ou semanas perseguindo tempestades, retornam a seus empregos no mundo civil.
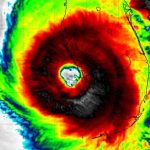
O OLHO DO FURACÃO
Característica de furacões muito intensos, o olho da Ida estava muito bem definido nas imagens de satélite na manhã deste domingo. O olho já estava a poucos quilômetros de tocar terra no litoral do estado norte-americano da Louisiana.
A característica mais reconhecível encontrada em um furacão é o olho. Eles são encontrados no centro e têm entre 20 e 50 quilômetros de diâmetro. O olho é o centro do furacão, o ponto em torno do qual o resto da tempestade gira e onde as pressões de superfície mais baixas são encontradas na tempestade.
O céu geralmente está claro ou com poucas nuvens acima do olho e os ventos são relativamente fracos. Na verdade, é a parte mais calma de qualquer furacão. Por quê? O olho está tão calmo porque os agora fortes ventos da superfície que convergem para o centro nunca o alcançam. A força de Coriolis desvia ligeiramente o vento do centro, fazendo com que o vento gire em torno do centro do furacão a parede do olho ou eyewall), deixando o centro exato (o olho) calmo.
Um olho se torna visível quando parte do ar que sobe na parede do olho é forçado para o centro da tempestade, em vez de para fora, para onde vai a maior parte. Esta parcela de ar ruma em direção ao centro de todas as direções. Essa convergência faz com que o ar realmente afunde no olho. Este afundamento cria um ambiente mais quente e as nuvens evaporam deixando um claro.
