O furacão devastador Ida, no limite das categorias 4 e 5 na escala Saffir-Simpson, toca terra no litoral do estado norte-americano da Louisiana no começo da tarde deste domingo e as consequências na região devem ser catastróficas com destruição maciça pelo vento e a elevação da maré na costa.
De acordo com o Centro Nacional de Furacões dos Estados Unidos, os ventos sustentados de Ida estão entre 240 km/h e 250 km/h, com rajadas que chegam perto dos 300 km/h. Tempestades com tamanha intensidade são raras e entram para os registros históricos.
A maré na costa pode subir de 5 a 10 metros com inundações extremamente perigosas. Além da inundação da costa pela elevação da maré, chuva extrema de 500 mm a 750 mm deve provocar graves enchentes em áreas do interior mais afastadas da orla. Como a região de Nova Orleans em parte está abaixo do nível do mar, a elevação da maré e a chuva extrema representam um risco imenso para a cidade.
A astronauta da NASA Megan McArthur, a bordo da Estação Espacial Internacional (ISS), fotografou o furacão monstro Ida quando ele estava no Caribe durante o sábado antes de passara por um rápido processo de intensificação durante as últimas horas sobre as águas mais quentes do Golfo do México.

NASA/Divulgação

NASA/Divulgação
“Se você está ou esteve no caminho do furacão, estou pensando em você e desejando que fique a salvo”, escreveu a astronauta ao publicar as fotografias da tempestade na sua conta da rede social Twitter.
O astronauta francês Thomas Pesquet, da Agência Espacial Europeia (ESA), igualmente fez fotos do furacão neste domingo à medida que se aproximava do estado norte-americano da Louisiana.
The eye of #HurricaneIda. It’s worrying to see these weather phenomena becoming stronger & more frequent from our vantage point. I hope anyone in the path of this storm will be prepared & stay safe. pic.twitter.com/kUWzWXtmqs
— Thomas Pesquet (@Thom_astro) August 29, 2021
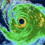
Característica de furacões muito intensos, o olho da Ida estava muito bem definido nas imagens de satélite na manhã deste domingo. O olho já estava a poucos quilômetros de tocar terra no litoral do estado norte-americano da Louisiana.
A marca mais reconhecível encontrada em um furacão é o olho. Eles são encontrados no centro e têm entre 20 e 50 quilômetros de diâmetro. O olho é o centro do furacão, o ponto em torno do qual o resto da tempestade gira e onde as pressões de superfície mais baixas são encontradas na tempestade.
