Uma dupla de furacões. Um a Oeste do México. O outro a Leste sobre o Golfo do México. Um sobre o Oceano Pacífico. O outro no Oceano Atlântico. São os furacões Nora e Ida. Uma imagem típica de agosto que marca o começo do auge da temporada de furacões nos trópicos.

Zoom Earth
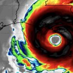
A imagem de satélite da tarde deste sábado mostrava o furacão categoria 1 Nora na costa de Jalisco no México com pressão mínima central de 977 hPa e vento de 130 km/h. É visível mais a Leste, sobre o Golfo do México está o furacão Ida que muito rapidamente ganha intensidade.
A previsão do Centro Nacional de Furacões dos Estados Unidos é que Nora avance para Norte rente à costa do México em direção à região da Baja California.

NHC/NOAA

NHC/NOAA
Por outro lado, Ida se desloca rapidamente em direção ao Sul dos Estados Unidos, onde deve tocar terra no estado da Louisiana.
Ida é o furacão que mais preocupa.
Ida, de acordo com a última projeção do Centro Nacional de Furacões dos Estados Unidos, deve alcançar a costa Sul de Nova Orleans como um furacão devastador de categoria 4 na escala Saffir-Simpson que vai até 5, com ventos destrutivos de 250 km/h, chuvas torrenciais com volumes extremos e elevação da maré de até cinco metros na faixa costeira.
A tempestade que passou pela Isla de la Juventud em Cuba entre o final da sexta e o começo deste sábado começa a ganhar força agora sobre as águas muito aquecidas do Golfo do México e com uma atmosfera de baixa divergência de ventos, condições que favorecem uma rápida intensificação.
O Centro Nacional de Furacões alertou sobre “inundação com alto risco de vida” devido à forte subida do mar na costa e ainda “danos potencialmente catastróficos pelo vento” nas áreas próximas do ponto em que o furacão ingressar em terra. Nova Orleans foi colocada sob um alerta de furacão.
Auge da temporada
Esta é a época do ano dos grandes furacões.
O período da climatologia entre agosto e outubro, com as águas mais quentes, marca o auge da temporada de furacões e ciclones tropicais são bastante frequentes no Pacífico Leste e no Atlântico Norte. Ida deve tocar terra na Lousiana no mesmo dia em que em 2005 o devastador furacão Katrina alcançou a região de Nova Orleans.
Vários fatores contribuem para o aumento sazonal dos ciclones tropicais que começa em agosto:
Primeiro, as ondas de Leste que surgem da África são mais organizadas e fortes, em regra servindo como o ponto de partida para a formação de tempestades tropicais e furacões no Atlântico Norte. As que mais preocupam são as que surgem perto de Cabo Verde na chamada Main Development Region (MDR), uma área em que as ondas (áreas de menor pressão atmosférica) costumam dar origem a alguns dos mais intensos furacões que depois alcançam a América Central e os Estados Unidos.
Ainda, as plumas de poeira que avançam do Saara, que carregam ar ar seco e normalmente reduzem a ocorrência de instabilidade, tendem a ceder em agosto, à medida que o aumento da frequência das ondas do Leste da África gradualmente eleva a umidade.
Também, o cisalhamento (divergência) do vento, a mudança na velocidade e/ou direção do vento em altitude, que pode inibir a formação de um potencial ciclone tropical, tende a ser baixo nesta época.
Por fim, as temperaturas da superfície do mar aumentam em direção ao seu auge no início do outono do Hemisfério Norte (setembro). Com oceano mais quente e maior calor latente, a capacidade da atmosfera de gerar convecção (tempestades) para ajudar a desencadear ciclones tropicais também aumenta em direção ao pico do outono.
A Região Principal de Desenvolvimento
Grande parte do aumento dos ciclones tropicais nesta época do ano, entre agosto e outubro, ocorre pelo que se verifica em uma área-chave do Oceano Atlântico que se torna mais propícia para os sistemas tropicais.
A área chamada Região Principal de Desenvolvimento, ou MDR na sigla em Inglês, fica em mar aberto no Oceano Atlântico entre o Caribe e a costa ocidental da África. Esta região é chamada de principal de desenvolvimento porque é responsável por 60% de todas as tempestades nomeadas que se formam no Atlântico e 85% de todos os furacões que se formam.
A região permite que ondas tropicais fracas na costa da África se transformem em tempestades tropicais e furacões à medida que se movem para o Oeste sobre águas muito mais aquecidas e um perfil vertical de vento com muito menor divergência que favorece a rápida intensificação dos sistemas tropicais.

