O Atlântico testemunhou neste sábado marcas impressionantes associadas a um ciclone tropical. O furacão Erin, que na manhã de sexta-feira ainda era apenas uma tempestade tropical alcançou a força devastadora de uma tempestade categoria 5 (o máximo da escala de furacões) em apenas 25 horas.

NOAA
Entre o meio-dia de ontem e o meio-dia deste sábado, o ciclone passou por um processo de intensificação rápida raramente visto. Em cerca de 24 horas, saltou quatro categorias na escala Saffir-Simpson.
Às 15h deste sábado, hora de Brasília, os ventos sustentados de Erin já atingiam 160 milhas por hora, equivalentes a 257 km/h. A pressão mínima central havia despencado para 915 milibares ou hectopascais.
Isso coloca Erin como o furacão de categoria 5 mais precoce já registrado no Atlântico aberto — área que exclui Caribe e Golfo do México. Também figura entre as intensificações mais rápidas da história da bacia.
Em apenas 12 horas, a pressão central de Erin despencou 47 milibares — marca impressionante que o coloca entre os furacões de intensificação mais extrema desde 1980. Apenas três tempestades superaram esse valor: Wilma, com queda de 83 mb, Milton, com 64 mb, e Allen, com 48 mb. Com isso, Erin iguala-se a Gilbert e Lee, reforçando seu lugar entre os episódios raros já registrados no Atlântico.
Em termos de vento, a transformação de Erin foi igualmente histórica. Em apenas 12 horas, a intensidade máxima saltou de 75 para 130 nós — um aumento de 55 nós. Nos últimos 50 anos, apenas três furacões no Atlântico superaram tal marca: Wilma em 2005, com impressionantes 75 nós, Felix em 2007, com 60 nós, e Milton em 2024, também com 60 nós. Isso coloca Erin no seleto grupo dos ciclones de intensificação mais violenta já observados na bacia.
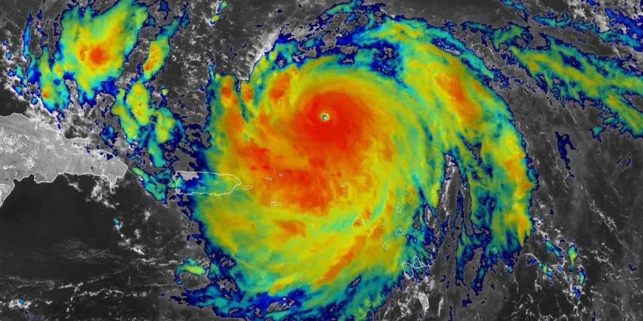
O sistema se localizava a cerca de 177 quilômetros ao Norte de Antígua, avançando para Oeste-Noroeste a 26 km/h. O deslocamento assegurava um fornecimento constante de águas quentes, combustível essencial para sua explosão energética.
Erin tornou-se ainda mais notável por ser o segundo ciclone de categoria 5 do planeta em 2025. O primeiro havia sido o ciclone Errol, que em abril alcançou o mesmo patamar ao largo da Austrália.
Na ocasião, Errol também surpreendeu meteorologistas ao evoluir de categoria 1 para 5 em menos de 24 horas. Contudo, perdeu força rapidamente antes de tocar terra, chegando ao continente apenas como uma baixa tropical.
No caso de Erin, a combinação de fatores atmosféricos foi quase perfeita. Os ventos de cisalhamento, que normalmente limitam o crescimento dos furacões, estavam entre 5 e 10 nós (menos de 20 km/h), mais fracos que o previsto.
A estrutura compacta do ciclone favoreceu a intensificação. Furacões menores, quando bem organizados, tendem a responder mais rapidamente às condições ambientais, absorvendo energia das águas aquecidas com enorme eficiência.

Erin se intensificou muito mais rápido que o previsto por todos os modelos numéricos de previsão do tempo | TROPICAL TIBIDTS
Embora o conteúdo de calor oceânico abaixo da superfície não fosse excepcional, a velocidade de Erin, entre 24 e 32 km/h, garantia acesso constante a águas quentes não resfriadas pela própria turbulência.
O resultado foi um olho perfeitamente definido, sustentado por circulação robusta em altos níveis da atmosfera. Esse alinhamento vertical é condição essencial para que os furacões acelerem seu processo de intensificação.
As aeronaves caçadoras de furacões também encontraram sinais impressionantes da força da tempestade. Uma sonda atmosférica lançada de avião detectou rajada instantânea de 206 mph — ou 331 km/h — na parede do olho, região onde os ventos são mais destrutivos.
A rápida intensificação é um dos fenômenos mais perigosos em ciclones tropicais. Estudos recentes confirmam que episódios assim estão se tornando mais comuns. Pesquisas publicadas em 2024 indicaram um sinal claro do aquecimento global na aceleração da intensificação de furacões, tufões e ciclones tropicais ao redor do planeta.
Os oceanos mais quentes, consequência direta da crise climática, oferecem energia abundante. Essa tendência foi descrita no estudo “Warming-induced historical increase in tropical cyclone rapid intensification”, que identificou aumento consistente desde 1871 até o presente.
Embora os números assustadores, sua trajetória deve mantê-lo afastado de grandes áreas povoadas. O furacão tangenciou as Ilhas de Sotavento e Porto Rico, mas sem impacto direto devastador.
A previsão indica que, até meados da semana, o ciclone seguirá entre as Bahamas e Bermudas. A rota é considerada quase ideal para evitar contato com territórios continentais e, sobretudo, com os Estados Unidos.
Ainda assim, bandas externas do sistema levarão pancadas de chuva e rajadas fortes às Ilhas Virgens e a setores da Hispaniola e de Porto Rico neste fim de semana. O mar revolto também será uma ameaça.
A MetSul Meteorologia está nos canais do WhatsApp. Inscreva-se aqui para ter acesso ao canal no aplicativo de mensagens e receber as previsões, alertas e informações sobre o que de mais importante ocorre no tempo e clima do Brasil e no mundo, com dados e informações exclusivos do nosso time de meteorologistas.
