O furacão Melissa tocou terra pela segunda vez na madrugada desta quarta-feira (29), atingindo o leste de Cuba com ventos violentos e chuvas torrenciais poucas horas depois de devastar a Jamaica como um dos ciclones mais poderosos já observados no Atlântico.

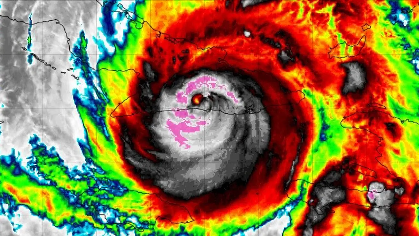
Melissa tocou terra pela segunda vez no Leste de Cuba | TROPICAL TIBIDTS
Segundo o Centro Nacional de Furacões (NHC) dos Estados Unidos, o olho do furacão tocou terra pouco depois das 4h (horário de Brasília) nas proximidades de Chivirico, na província cubana de Santiago de Cuba, com ventos máximos sustentados de 195 km/h, correspondendo à categoria 3 na escala Saffir-Simpson.
Logo após tocar terra, o sistema começou a enfraquecer, mas os meteorologistas alertaram que ventos destrutivos, tempestades severas e enchentes generalizadas continuariam sobre a ilha ao longo do dia. “Inundações repentinas, deslizamentos e ventos extremamente perigosos estão em andamento nesta manhã. Permaneçam em locais seguros”, informou o NHC em boletim.
Enquanto Melissa avança em direção ao Atlântico, com previsão de afetar as Bahamas, Turks e Caicos e posteriormente Bermudas, a Jamaica começa a sair de seus abrigos e enfrenta agora o duro processo de limpeza e reconstrução após um desastre sem precedentes.
Destruição na Jamaica
Antes de atingir Cuba, Melissa já havia provocado devastação total na Jamaica na terça-feira (28). O furacão tocou terra próximo à localidade de New Hope, no sudoeste da ilha, por volta das 14h (horário de Brasília), com ventos de 295 km/h, como furacão de categoria 5 — o nível máximo na escala.
Com essa intensidade, Melissa se tornou o terceiro furacão mais forte da história do Atlântico e igualou o recorde de maior intensidade no momento de tocar terra. O impacto sobre o território jamaicano foi catastrófico.
Em Black River, uma das cidades mais próximas do ponto de impacto, ventos extremos arrancaram telhados e arremessaram destroços como projéteis. Moradores buscaram abrigo em uma delegacia local, conforme vídeo divulgado pela Força Policial da Jamaica, que mostra dezenas de pessoas se protegendo do furacão.
O correspondente da Fox Weather, Robert Ray, relatou ventos “como o som de um trem”, descrevendo o cenário de destruição e a dificuldade para se manter de pé sob rajadas violentas.
Durante os preparativos, o governo jamaicano havia feito alertas repetidos para que a população estocasse alimentos e água. Ainda assim, os danos superaram todas as expectativas. Cerca de 35% da ilha já estava sem energia antes mesmo de o furacão tocar terra, e o colapso da rede elétrica foi quase total após a passagem do olho da tempestade.
Na noite de terça-feira, metade da população jamaicana estava sem energia, e a conectividade à internet caiu para apenas 30% dos níveis normais, segundo o observatório NetBlocks.
Isolamento e danos à infraestrutura
A avaliação inicial dos danos ainda é difícil devido à falta de comunicações. Estradas foram bloqueadas, pontes submersas e várias áreas continuam isoladas. O Ministro de Energia e Transportes, Daryl Vaz, descreveu a situação como “catastrófica”.
“Pouca coisa sobrevive a um furacão de categoria 5 em termos de infraestrutura”, afirmou Vaz em entrevista à Sky News. Ele destacou que o leste da ilha e a capital Kingston escaparam do pior, mas o oeste e o centro foram gravemente atingidos.
Fotos e vídeos nas redes sociais mostraram carros destruídos, destroços de construções e casas destelhadas. O Aeroporto Internacional Norman Manley, em Kingston, deve reabrir para voos de emergência ainda nesta quinta-feira, mas o Aeroporto de Montego Bay pode ter sofrido danos estruturais severos.
A agência nacional de obras públicas relatou três pontes submersas e várias estradas bloqueadas por deslizamentos e alagamentos. Mais de 51 mil pessoas seguem sem energia, concentradas nas regiões central e ocidental da ilha.
O primeiro-ministro Andrew Holness declarou estado de desastre nacional. Três mortes foram confirmadas durante os preparativos para a chegada do furacão, mas o número pode aumentar à medida que as equipes de resgate consigam acessar as áreas mais afetadas.
Chuvas históricas e risco de enchentes
Os meteorologistas alertaram para acúmulos de chuva entre 100 e 200 milímetros em boa parte de Cuba, com valores que podem chegar a 600 milímetros nas áreas montanhosas. Em Santiago de Cuba, já há registros de inundações e deslizamentos de terra.
Mais de 750 mil pessoas foram evacuadas preventivamente em Cuba antes da chegada de Melissa, segundo o governo local. O presidente Miguel Díaz-Canel declarou na noite de terça-feira que seria uma “noite muito difícil para a ilha”.
Na base naval de Guantánamo, a Marinha dos Estados Unidos ordenou que todo o pessoal se refugiasse em abrigos, levando alimentos e água para três dias.
Avanço pelo Caribe
Após atravessar o leste de Cuba, Melissa deve seguir rumo ao Atlântico ocidental, passando pelas Bahamas e Turks e Caicos ainda nesta quarta-feira, e se aproximando das Bermudas até a quinta-feira.
Mesmo com algum enfraquecimento, o furacão continuará sendo uma ameaça de alto impacto, com chuvas torrenciais, ondas destrutivas e ventos de força de furacão ao longo de sua rota.
Enquanto isso, a Jamaica enfrenta o maior desastre natural de sua história recente, com comunidades isoladas, turistas retidos, aeroportos fechados e um sistema elétrico severamente danificado.
A empresa Starlink, de Elon Musk, anunciou que oferecerá internet gratuita na Jamaica até novembro para auxiliar nas operações de emergência e comunicação de autoridades e moradores.
A MetSul Meteorologia está nos canais do WhatsApp. Inscreva-se aqui para ter acesso ao canal no aplicativo de mensagens e receber as previsões, alertas e informações sobre o que de mais importante ocorre no tempo e clima do Brasil e no mundo, com dados e informações exclusivos do nosso time de meteorologistas.
