O furacão Melissa tocou terra na Jamaica na terça-feira e trouxe enorme destruição. No momento em que alcançou a Jamaica, o sistema era o terceiro furacão mais intenso já registrado no Atlântico Norte com ventos sustentados de 298 km/h e pressão central de 892 milibares.

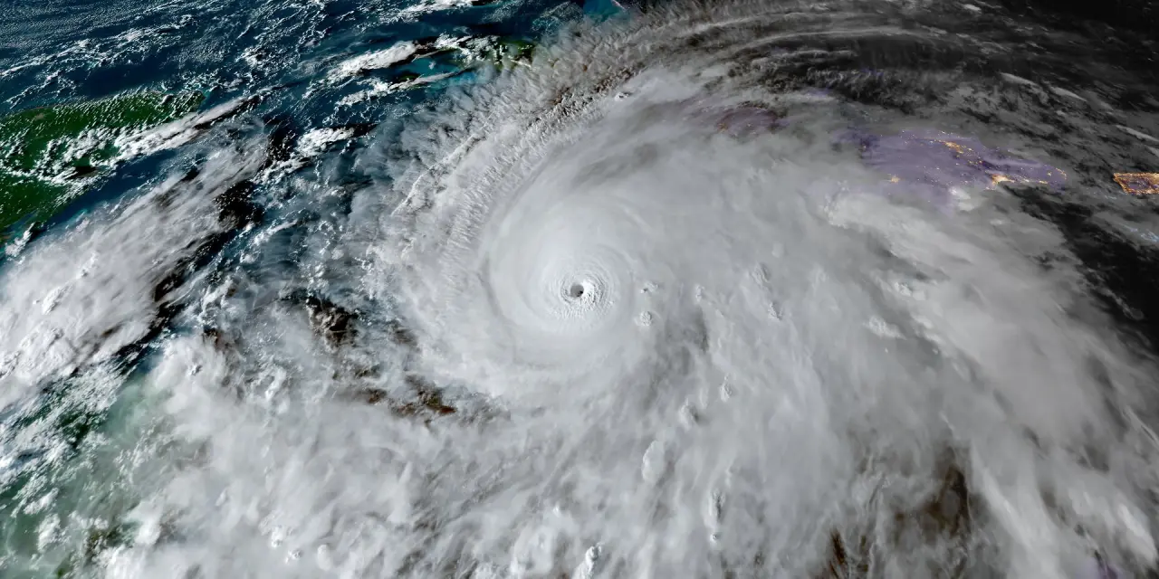
Imagem de satélite mostra Melissa no Caribe | CIRA/CSU
Ontem, Melissa cruzou pelo Oriente de Cuba e tocou terra pela segunda vez como um furacão de categoria 3, depois rebaixado. Atingiu Santiago de Cuba, a segunda maior cidades da ilha cubana.
O noticiário do furacão veio acompanhado em alguns portais brasileiros com títulos e informações absurdas que sugeriram um impacto direto ou reflexos da tempestade no Brasil.
O portal THN1 estampou como manchete: “Brasil se prepara para o impacto do furacão mais temido do ano”. O Canal Rural noticiou em manchete: “Furacão Melissa avança e pode influenciar o clima no Brasil”.
Já o jornal catarinense ND+ chegou ao ponto de tentar induzir o leitor pelo título a crer que Melissa poderia estar causando a ressaca e o vento no litoral de Santa Catarina para na matéria negar relação.

REPRODUÇÃO
Nada, absolutamente nada procede ou faz qualquer sentido nestes títulos publicados por estes meios de comunicação digitais. O furacão Melissa não vai atingir o Brasil, não será sentido em Santa Catarina e tampouco terá reflexos no clima brasileiro.
Por quê? Por uma razão muito simples. A tempestade jamais chegou perto do Brasil e no momento se distancia para Norte, rumando para o meio do Atlântico Norte, a milhares e milhares de quilômetros do território brasileiro.
O mapa a seguir mostra a projeção de trajetória do furacão Melissa publicada pelo Centro Nacional de Furacões dos Estados Unidos (NHC), responsável designado para o monitoramento e previsão de ciclones tropicais no Atlântico Norte.

NHC/NOAA
Como se observa, a tempestade vai passar a Leste dos Estados Unidos e do Canadá, longe do continente ainda como um furacão. Pode no fim de semana alcançar a região de Newfoundland, no Canadá. Na sequência, avançará para áreas ao Sul da Groenlândia.
Assim, não atinge o Brasil e obviamente nenhuma relação guarda com chuva, vento e ressaca do mar em Santa Catarina, causados por um centro de baixa pressão que avançou do Paraguai e migrou para o Atlântico Sul.
Mas a tempestade pode ter reflexos no clima do Brasil? Clima é uma padrão de longo prazo, portanto uma tempestade de poucos dias no Atlântico Norte não terá reflexos no clima brasileiro, mesmo porque distante do Brasil.
O que impacta o clima no Brasil não é o furacão, mas as condições oceânicas no Atlântico Norte que favoreceram a formação e a rápida intensificação de Melissa. Ou seja, não é Melissa e sim uma de suas causas.
As águas do Caribe estavam muito mais quentes que o normal no momento da formação do furacão e tendem a permanecer mais quentes do que o normal. Isso pode favorecer mais chuva em áreas mais ao Norte do Brasil como o Norte do Amazonas e Roraima nos proximos meses, no entanto não é de nenhuma forma uma consequência direta ou indireta do furacão e sim das condições oceânicas que proporcionaram a sua rápida intensificação.
A MetSul Meteorologia está nos canais do WhatsApp. Inscreva-se aqui para ter acesso ao canal no aplicativo de mensagens e receber as previsões, alertas e informações sobre o que de mais importante ocorre no tempo e clima do Brasil e no mundo, com dados e informações exclusivos do nosso time de meteorologistas.
