Mundo

Natal com neve em pleno verão? Teve, na Austrália!

Natal com neve em pleno verão? Teve, na Austrália!

A manhã desta quinta-feira de Natal foi marcada por um cenário incomum na Tasmânia, estado mais ao Sul da Austrália. Em pleno verão no Hemisfério Sul, a data de Natal amanheceu com neve em áreas elevadas, criando um raro “Natal branco” na região.

MetSul.com
Vento extremo de até 230 km/h atinge dez estados dos Estados Unidos

Vento extremo de até 230 km/h atinge dez estados dos Estados Unidos

Vento extremamente intenso castigou diversos estados do Oeste e do Centro-Norte dos Estados Unidos na quarta-feira (17), deixando ao menos uma morte, duas crianças gravemente feridas e um rastro de destruição que derrubou árvores, comprometeu a infraestrutura e ampliou os impactos de enchentes históricas no Noroeste do país.

Luiz F. Nachtigall
Enchentes históricas atingem o Noroeste dos Estados Unidos

Enchentes históricas atingem o Noroeste dos Estados Unidos

Sucessivos rios atmosféricos transformaram áreas do estado norte-americano de Washington em uma zona de desastre. As chuvas torrenciais provocaram inundações severas, destruição de infraestrutura, deslizamentos de terra e evacuações em massa em dezenas de comunidades.

Luiz F. Nachtigall
Entenda em gráficos as enchentes catastróficas com mil mortos na Ásia

Entenda em gráficos as enchentes catastróficas com mil mortos na Ásia

Uma combinação explosiva de ciclones tropicais e chuvas de monção transformou vastas áreas do Sul e Sudeste da Ásia em cenários de destruição. Em pouco mais de uma semana, mais de 1200 pessoas morreram e milhares seguem desaparecidas, no que autoridades já descrevem como um dos episódios de clima extremo... Leia mais

MetSul.com
Emergência na primeira tempestade de inverno da Costa Leste dos EUA

Emergência na primeira tempestade de inverno da Costa Leste dos EUA

Milhões de norte-americanos enfrentaram nas últimas horas a primeira grande nevada da temporada na Costa Leste dos Estados Unidos. Um poderoso Nor’easter (ciclone extratropical) avança pela Costa Leste, levando chuva, gelo e neve para áreas densamente povoadas.

MetSul.com
Os números chocantes da catástrofe das enchentes na Ásia

Os números chocantes da catástrofe das enchentes na Ásia

Chuvas torrenciais, enchentes violentas e deslizamentos de terra transformaram partes da Ásia em zonas de devastação nesta semana com enchentes catastróficas e um saldo chocante de mortes e de desabrigados pelas inundações.

Estael Sias
Enchentes deixam mais de mil mortos na Ásia

Enchentes deixam mais de mil mortos na Ásia

Sri Lanka e Indonésia mobilizaram as forças militares nesta segunda-feira (1) para socorrer as vítimas das enchentes que deixaram mais de mil mortos na Ásia nos últimos dias. Vários fenômenos meteorológicos provocaram chuvas torrenciais prolongadas na semana passada em todo o Sri Lanka, partes da ilha indonésia de Sumatra, no... Leia mais

AFP
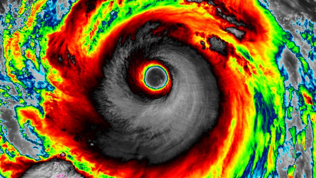
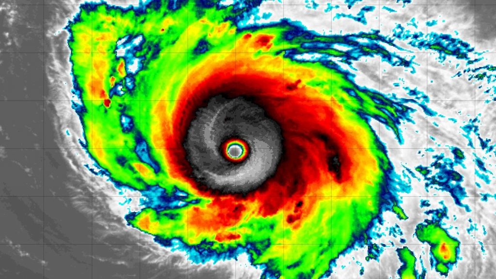
Rajada de vento de 405 km/h bate recorde mundial em furacão no Atlântico

Rajada de vento de 405 km/h bate recorde mundial em furacão no Atlântico

Um registro sem precedentes marcou a passagem do furacão Melissa pelo Caribe em outubro. Uma sonda lançada por um avião Caçador de Furacões da NOAA mediu uma rajada de 405,5 km/h, valor que, após rigorosa verificação técnica, tornou-se oficialmente o vento mais forte já registrado dentro de um furacão.

Luiz F. Nachtigall
Ciclone no Sul do continente mata cinco turistas em paraíso natural do Chile

Ciclone no Sul do continente mata cinco turistas em paraíso natural do Chile

Cinco turistas estrangeiros morreram após serem surpreendidos por uma tempestade violenta no Parque Nacional Torres del Paine, na Patagônia chilena. O grupo foi atingido por neve intensa, baixa visibilidade e ventos que chegaram a quase 200 km/h durante o ciclone extratropical que atingiu o Sul do continente na segunda-feira  (17).

Estael Sias