O outono começou no Hemisfério Norte com forte atividade nos trópicos. No Atlântico, o furacão Gabrielle foi elevado à categoria 4. Mas foi no Pacífico Noroeste que se concentrou a maior preocupação: o super tufão Ragasa, chamado de Nando nas Filipinas, tornou-se o primeiro ciclone de categoria 5 de 2025 na bacia e a tempestade mais forte no planeta até agora no ano.

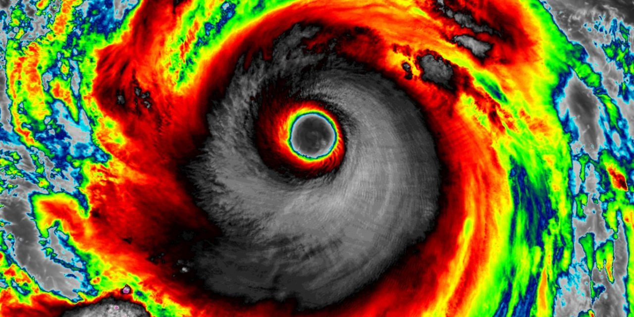
Supertufão Ragasa nas imagens de satélite | CIRA/CSU
O supertufão Ragasa tornou-se o primeiro tufão de categoria 5 de 2025 e a terceira tempestade de categoria 5 do planeta em 2025, juntando-se ao furacão Erin no Atlântico (16 de agosto) e ao ciclone Errol na costa noroeste da Austrália (16 de abril). A média global para um ano inteiro entre 1990 e 2024 é de 5,3 tufões de categoria 5; houve cinco em 2024.
Ragasa atingiu as ilhas Babuyan, no extremo norte do arquipélago filipino, na manhã de segunda-feira, horário local. A tempestade passou com seu olho diretamente sobre Calayan, a mais populosa das ilhas, onde cerca de 10 mil pessoas vivem. Mais de 8.200 moradores buscaram abrigo em centros de evacuação, uma medida que evitou tragédia maior.
Apesar da preparação, autoridades confirmaram ao menos três mortes e dezenas de feridos em Cagayan e Apayao. Linhas de transmissão foram derrubadas, causando blecautes generalizados, enquanto estradas ficaram intransitáveis devido à queda de árvores e deslizamentos. Escolas e repartições públicas foram fechadas em 29 províncias, incluindo a capital Manila.
Um dado chamou a atenção da comunidade científica: uma boia registrou pressão mínima de 900,3 hPa ao passar sob o olho do tufão, valor ajustado para aproximadamente 897 hPa, o que espantou os meteorologistas pela grande intensidade da tempestade (que se mede pela pressão mínima e não o vento).
Esse é possivelmente o menor registro direto no Pacífico Noroeste desde o super tufão Meranti, em 2016, que atingiu 883 hPa. A intensidade extrema confirma Ragasa como um dos ciclones mais violentos das últimas décadas.

Supertufão Ragasa é uma tempestade extrema no Pacífico | CIRA/CSU
Depois de cruzar o Estreito de Luzon, Ragasa manteve ventos equivalentes à categoria 4 e avançou para o Mar do Sul da China. A trajetória projetada indica aproximação perigosa da costa de Guangdong entre a noite desta terça (23) e a quarta-feira (24), no horário local.

Olho da tempestade Ragasa | CIRA/CSU
A incerteza meteorológica ainda é grande: uma pequena mudança no rumo pode significar impacto direto sobre centros urbanos como Zhanjiang, de sete milhões de habitantes, ou uma passagem mais afastada, com danos menores. Modelos de previsão divergem quanto à intensidade no momento do toque em terra, variando entre categoria 1 e categoria 3.
Impacto em Taiwan
Um lago de barreira formado há décadas por um deslizamento de terra no leste de Taiwan se rompeu nesta terça-feira, quando o Super Tufão Ragasa castigava a ilha com chuvas torrenciais, inundando uma cidade próxima e deixando mais de 260 pessoas presas, informaram autoridades.
Heavy rain from Super Typhoon Ragasa burst a lake on the east coast of Taiwan, with the deluge breaking a bridge and causing flooding in surrounding villages pic.twitter.com/uOpJFPETi8
— Reuters (@Reuters) September 23, 2025
No condado de Hualien, no leste de Taiwan, onde as precipitações continuaram nesta terça, o lago de barreira no alto do riacho Mataian se rompeu por volta das 15h locais (04h em Brasília), arrastando uma ponte e avançando sobre uma cidade, disse um oficial local do corpo de bombeiros.
“Em alguns locais, a água chegou temporariamente até o segundo andar de uma casa e alcançou a altura de um andar no centro da cidade, onde o nível já começou a baixar”, afirmou Lee Lung-sheng, vice-chefe do Corpo de Bombeiros do condado de Hualien.

Ragasa causou destruição na Filipinas | CRISTY GAFFUD/AFP/METSUL
“Cerca de 263 pessoas ficaram presas e subiram para áreas mais altas quando o rio subitamente encheu. Elas não correm perigo imediato, mas estão muito preocupadas com o nível elevado da água”, disse.Ele acrescentou que duas pessoas estavam desaparecidas e que uma operação de busca estava em andamento.
Os moradores isolados foram orientados a permanecer no local e aguardar a descida das águas, completou. Imagens divulgadas pela Agência Nacional de Bombeiros de Taiwan mostraram ruas alagadas e carros semissubmersos, enquanto árvores eram arrancadas na região.
Em todo o território taiwanês, mais de 7.600 pessoas foram evacuadas por causa do tufão Ragasa. Cerca de 3.100 pessoas já haviam sido retiradas preventivamente e levadas para casas de parentes na área próxima ao riacho em Hualien, de acordo com a agência.
Ameaça na China
Hong Kong e partes do sul da China paralisaram suas atividades na noite desta terça-feira (hora local) com a aproximação do Super Tufão Ragasa, que trouxe ventos fortes e chuva intensa, obrigando as autoridades chinesas a fechar escolas e empresas em pelo menos dez cidades.
O super tufão registrava ventos sustentados máximos de 205 km/h próximos ao seu centro enquanto avançava para oeste pelo Mar do Sul da China, segundo o serviço meteorológico de Hong Kong.
O Observatório de Hong Kong havia emitido mais cedo o sinal T8, o terceiro mais alto nível de alerta para tufões, acrescentando que poderia elevar o aviso já a partir das 23h locais (12h em Brasília).
Um repórter da agência AFP presenciou ondas de quase cinco metros atingindo o calçadão à beira-mar do distrito residencial de Heng Fa Chuen, em Hong Kong, ao anoitecer.
Yang Lee-o, moradora do bairro costeiro de Lei Yue Mun há 40 anos, contou que equipes do governo já haviam passado o dia colocando sacos de areia. “Lei Yue Mun é sempre a área mais atingida quando há tufão ou tempestade”, disse a mulher de 71 anos, lembrando que, em um super tufão anterior, a água chegou até suas coxas.

Mar já revolto em Hong Kong | DALE DE LA REY/AFP/METSUL
O segundo mais alto funcionário de Hong Kong, Eric Chan, afirmou anteriormente que o Ragasa representa uma “ameaça séria” comparável aos super tufões de 2017 e 2018, que causaram centenas de milhões em prejuízos materiais.
O Ragasa — nome derivado da palavra filipina para “movimento rápido” — deve tocar terra nas áreas costeiras centrais e ocidentais de Guangdong dentro de 24 horas, informou nesta terça-feira o escritório provincial de gestão de emergências.

Sacos de areia são colocados nas ruas de Hong Kong | YAN ZHAO/AFP/METSUL
Foi ordenada a evacuação de 400 mil pessoas. As autoridades locais destacaram que, exceto equipes de resgate e trabalhadores de serviços essenciais, “ninguém deve sair de casa sem necessidade”. Outras cidades da província de Guangdong que adotaram medidas incluem Chaozhou, Zhuhai, Dongguan e Foshan.
Em Hong Kong, as aulas foram suspensas na terça e na quarta-feira, embora a bolsa de valores tenha adotado novas regras neste ano para manter os mercados abertos durante tufões. Não havia voos partindo de Hong Kong após 13h (horário de Brasília), segundo o site do aeroporto. A Cathay Pacific já havia informado que mais de 500 voos seriam cancelados.
Previsão de rota para a tempestade Ragasa
O supertufão Ragasa avança para Oeste em direção à China depois de ter provocado destruição nas Filipinas e em Taiwan no começo da semana. A Estação Espacial Internacional (ISS) chegou a passar sobre a tempestade em uma órbita no Pacífico com imagens espetaculares.
The International Space Station just flew right over the eye of Super Typhoon Ragasa.
Spectacular view from space. pic.twitter.com/vuRiySmkUD
— Nahel Belgherze (@WxNB_) September 22, 2025
When the @Space_Station flies directly over the strongest storm on the planet this year. @CNN #Ragasa #ISS #NandoPH pic.twitter.com/mX8cdvYbSl
— Derek Van Dam (@VanDamCNN) September 22, 2025
Segundo o Centro de Avisos de Tufões dos Estados Unidos (JTWC), Ragasa deve enfraquecer gradualmente após interagir com a costa chinesa, mas ainda poderá manter força significativa ao entrar no norte do Vietnã e no Laos por volta de quinta-feira (25).
Ragasa é o terceiro ciclone de categoria 5 em 2025, após o furacão Erin no Atlântico e o ciclone Errol, na Austrália. A média global entre 1990 e 2024 é de 5,3 sistemas dessa intensidade por ano, o que reforça a excepcionalidade da temporada.
A coincidência da formação do super tufão com a intensificação do furacão Gabrielle no Atlântico mostra que, após semanas de aparente calmaria, a temporada ciclônica ganhou força em diferentes oceanos.
A MetSul Meteorologia está nos canais do WhatsApp. Inscreva-se aqui para ter acesso ao canal no aplicativo de mensagens e receber as previsões, alertas e informações sobre o que de mais importante ocorre no tempo e clima do Brasil e no mundo, com dados e informações exclusivos do nosso time de meteorologistas.
