Quem são os rohingya (ou ruainga), o povo na rota do extremamente perigoso ciclone Mocha que ruma do Índico para Mianmar e Bangladesh. O ciclone tropical Mocha deve chegar neste fim de semana com vento de até 200 km/h, chuva de centenas de milímetros e elevação da maré em metros que vai inundar enormes áreas na fronteira dos dois países.

Refugiada rohingya segura o filho no colo ao cruzar o rio Naf de Mianmar para Bangladesh em Whaikhyang em 9 de outubro de 2017. Foi quando explodiu a crise humanitária com a perseguição pelos militares do exército de Mianmar à minoria. | FRED DUFOUR/AFP/METSUL METEOROLOGIA
Mais de um milhão de refugiados rohingya fugiram da violência em Mianmar em ondas sucessivas de deslocamento desde o início dos anos 1990, de acordo com o ACNUR (Alto Comissariado da ONU para Refugiados), mas o pior ocorreu em 2017.
Os rohingya são uma minoria muçulmana apátrida de Mianmar. Em 25 de agosto de 2017, quando a violência eclodiu no estado de Rakhine, em Mianmar, a crise humanitária tomou grandes proporções, levando mais de 742.000 pessoas a buscar refúgio em Bangladesh.
A maioria chegou nos primeiros três meses da crise, quase todos mulheres e crianças, muitos com menos de 12 anos de idade. Há ainda idosos que precisam de ajuda e proteção adicional. Eles não têm nada e precisam de tudo, diz o ACBNUR. Mais da metade dos novos recém-chegados buscaram abrigo nos arredores e nos campos de refugiados de Kutupalong e Nayapara e em locais improvisados que existiam antes do fluxo.
Alguns se juntaram a parentes que já estavam em Bangladesh, enquanto outros são atraídos pela assistência e serviços, fazendo com que as instalações existentes fiquem sobrecarregadas. “Eles queimaram nossa casa e nos expulsaram com disparos. Caminhamos pela selva durante três dias”, diz um refugiado que foi forçado a fugir para Bangladesh com sua família de sete membros, incluindo um bebê nascido durante a jornada.

Refugiados muçulmanos rohingya caminham pelo campo de refugiados de Kutupalong, o maior do mundo, em Cox’s Bazar, em 27 de novembro de 2017. Os rohingya fugiram para Bangladesh pela perseguição em Mianmar. | ED JONES/AFP/METSUL METEOROLOGIA
Novos assentamentos espontâneos surgiram do dia para a noite, levantando preocupações sobre a falta de abrigo, água e saneamento adequados, acesso a serviços básicos e considerações gerais de proteção, como segurança para mulheres e meninas.
O assentamento de refugiados de Cox’s Bazar em Kutupalong cresceu e se tornou o maior de seu tipo no mundo, com mais de 600 mil pessoas vivendo em uma área de apenas 13 quilômetros quadrados, levando a infraestrutura e os serviços ao seu limite.

Refugiados muçulmanos rohingya reagem enquanto a polícia e as autoridades tentam controlar uma multidão crescente que esperava receber ajuda alimentar de arroz, água e óleo de cozinha em um centro de assistência no campo de refugiados de Kutupalong em Cox’s Bazar em 28 de novembro de 2017 | ED JONES/AFP/METSUL METEOROLOGIA
O governo de Bangladesh respondeu generosamente durante a última crise. Aldeias locais de Bangladesh também receberam os recém-chegados. Eles não mediram esforços para ajudar, esgotando seus recursos já limitados.
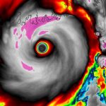
O ciclone tropical Mocha se intensificou para se tornar “muito perigoso” nesta sexta-feira, disse a Organização Meteorológica Mundial, alertando sobre ventos violentos, inundações e possíveis deslizamentos de terra em Bangladesh que podem atingir o maior campo de refugiados do mundo.
Clare Nullis, da OMM, disse em coletiva de imprensa em Genebra que maré de tempestade de 2 a 2,5 metros no fim de semana provavelmente inundará áreas baixas do Norte de Mianmar, bem como partes de Bangladesh, onde estão muitos dos refugiados.
O ciclone deve atingir a costa de Bangladesh no domingo. Embora um impacto direto não seja esperado, o caminho da tempestade deve afetar o distrito da fronteira Sudeste de Bangladesh, onde vivem um milhão de refugiados rohingya, o maior acampamento de refugiados do mundo.
A porta-voz da agência de refugiados da ONU, Olga Sarrado, disse que os preparativos estão em andamento para uma evacuação parcial do campo, se necessário. A agência também estava preparando dezenas de milhares de refeições quentes. A Organização Mundial da Saúde disse que estava posicionando cerca de 33 equipes médicas móveis, 40 ambulâncias, bem como kits de cirurgia de emergência e cólera para o acampamento.

Uma jovem refugiada rohingya posa com suas roupas novas e o rosto pintado durante o festival Eid Al-Adha no campo de refugiados de Balukhali, no distrito de Ukhia, perto de Cox’s Bazar, em 22 de agosto de 2018. Quase um milhão de muçulmanos rohingya vivem no maior campo de refugiados, expulsos de Mianmar. | DIBYANGSHU SARKAR/AFP/METSUL METEOROLOGIA
A região por onde passará o ciclone ao tocar terra neste fim de semana tem um histórico de grandes catástrofes. A região tem apenas 4% dos ciclones tropicais do mundo, mas 80% das mortes por este tipo de ciclone ocorrem justamente no Golfo de Bengala.
O pior ciclone ocorreu há meio século. Em novembro de 1970, o ciclone de Bhola chocou o mundo por suas consequências. A tempestade devastadora chegou ao Paquistão Oriental (atual Bangladesh) e Bengala Ocidental, na Índia, causando mortes em massa com cenas que deixaram o planeta estarrecido.
O ciclone Bhola foi o ciclone tropical mais mortal já registrado pela Meteorologia e também foi responsável por um dos desastres naturais (não apenas eventos atmosféricos) mais mortíferos nos tempos modernos. Entre 300 mil e 500 mil pessoas perderam suas vidas, principalmente devido à subida do mar com a maré de tempestade associada ao ciclone que inundou muitas ilhas de baixa altitude do Delta do Rio Ganges, afogando os moradores.
Qualquer pessoa pode ajudar os rohingya e refugiados de qualquer parte do mundo doando para o ACNUR, o Alto Comissariado da Organização das Nações Unidas para os Refugiados. As doações no Brasil podem ser feitas neste link para a página do ACNUR.
