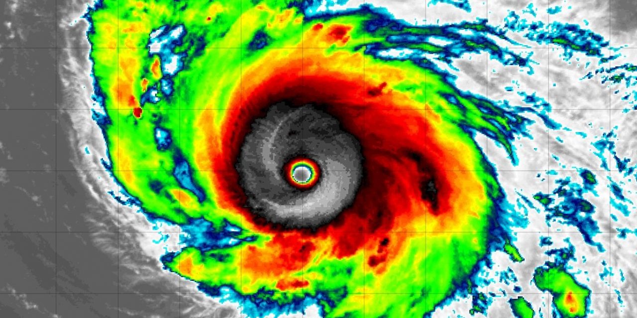
O furacão Humberto alcançou a categoria 5 neste sábado no Atlântico, surpreendendo pela velocidade de sua intensificação. Segundo o Centro Nacional de Furacões dos Estados Unidos (NHC), o sistema atingiu ventos sustentados de 257 km/h, o máximo da escala Saffir-Simpson.

TROPICAL TIBIDTS
O meteorologista Philip Klotzbach destacou que Humberto se tornou o segundo furacão de categoria 5 da temporada de 2025 no Atlântico, depois de Erin. Apenas quatro outros anos registraram dois ou mais furacões de categoria 5 até 27 de setembro: 1933, 2005, 2007 e 2017.
Ele lembra ainda que, embora o banco de dados histórico de furacões do Atlântico da NOAA (HURDAT2) remonte a 1851, a intensidade de tempestades anteriores à era dos satélites, iniciada por volta de 1966, provavelmente foi subestimada.
O ciclone está localizado a cerca de 560 quilômetros ao norte das Ilhas de Sotavento, no Caribe. Apesar da distância da costa, seus efeitos já começam a ser sentidos em parte do Caribe e devem se estender a outras áreas nos próximos dias.
De acordo com o NHC, o mar agitado e a formação de ressaca atingirão as Ilhas Virgens, Porto Rico e também Bermuda. O risco de correntes de retorno é considerado elevado, podendo tornar a navegação e atividades costeiras perigosas.
Humberto se formou na sexta-feira como a oitava tempestade nomeada desde junho, quando começou oficialmente o período de furacões.
A previsão indica que o ciclone deve seguir em direção ao noroeste, afastado da Costa Leste dos Estados Unidos. Ainda assim, meteorologistas observam sua interação com outra área de instabilidade no Atlântico.
O que mais chama atenção é a velocidade da intensificação. Entre quinta e sexta-feira, os ventos aumentaram cerca de 65 km/h em apenas 24 horas. Essa evolução rápida é chamada de “intensificação explosiva” pelos especialistas.
Casos semelhantes ocorreram nos últimos anos. Em 2023, o furacão Otis surpreendeu ao passar de categoria 1 para 5 em menos de um dia, atingindo Acapulco, no México, e deixando dezenas de mortos. No ano passado, o furacão Milton seguiu o mesmo caminho, com uma elevação brusca de ventos que preocupou a Flórida.
Os cientistas afirmam que águas mais quentes do oceano oferecem combustível para o fortalecimento repentino dos ciclones. Esse aquecimento é favorecido tanto por eventos naturais, como o El Niño, quanto pelas mudanças climáticas induzidas pelo ser humano.
Humberto deve seguir como um furacão de grande intensidade por vários dias, mantendo a categoria 4 ou 5. A temporada de furacões no Atlântico termina em 30 de novembro, mas 2025 já acumula dois furacões de categoria máxima, o que reforça o alerta para uma temporada ativa e perigosa.
A MetSul Meteorologia está nos canais do WhatsApp. Inscreva-se aqui para ter acesso ao canal no aplicativo de mensagens e receber as previsões, alertas e informações sobre o que de mais importante ocorre no tempo e clima do Brasil e no mundo, com dados e informações exclusivos do nosso time de meteorologistas.
