Mundo

Tempestade solar severa provoca auroras até na Argentina e no México

Tempestade solar severa provoca auroras até na Argentina e no México

Tempestade solar severa atingiu a Terra na última noite e prossegue com menor força no começo desta quarta-feira como consequência de explosões no sol voltadas para a Terra ocorridas no final de semana, provocando um espetáculo de luzes no céu em vários países com as auroras.

MetSul.com
Onda de frio e neve incomum pode quebrar recordes de um século nos EUA

Onda de frio e neve incomum pode quebrar recordes de um século nos EUA

Uma onda de frio e com muita neve, incomum para o mês de novembro, avança pelos Estados Unidos neste momento e pode estabelecer recordes de até século. O ar polar vindo diretamente do Ártico provoca neve histórica em Atlanta em pleno novembro e chega ao estado da Flórida.

Luiz F. Nachtigall
Acidente aéreo nos Estados Unidos: condições do tempo eram excelentes

Acidente aéreo nos Estados Unidos: condições do tempo eram excelentes

Um avião cargueiro McDonnell Douglas MD-11F da UPS Airlines caiu pouco depois da decolagem do Aeroporto Internacional Louisville Muhammad Ali, no Kentucky, em acidente no fim da tarde desta terça-feira. O voo UPS 2976 seguia para Honolulu, no Havaí, e o acidente ocorreu logo após as 17h (hora local), segundo... Leia mais

MetSul.com
Chuva provoca inundações e deixa mortos em Nova York

Chuva provoca inundações e deixa mortos em Nova York

Duas pessoas morreram em Nova York na quinta-feira durante a passagem de uma intensa linha de tempestades que provocou chuvas torrenciais e inundações repentinas em várias áreas do Meio-Atlântico e do Nordeste dos Estados Unidos.

MetSul.com
NOAA divulga imagens de voo dramático no interior do furacão; veja vídeo

NOAA divulga imagens de voo dramático no interior do furacão; veja vídeo

A Administração Nacional de Oceanos e Atmosfera dos Estados Unidos, a NOAA, divulgou vídeo com momentos dramáticos a bordo de um dos seus aviões caça-furacões em uma das últimas missões de reconhecimento dentro do furacão Melissa antes de a tempestade tocar terra na Jamaica na terça.

MetSul.com
Nevasca incomum bate recorde de um século na gelada Islândia

Nevasca incomum bate recorde de um século na gelada Islândia

O tempo no início da semana foi extremamente incomum na Islândia, com uma forte nevasca atingindo o sudoeste do país e provocando sérios transtornos no tráfego. Em Reykjavik, a profundidade da neve medida na estação meteorológica da Veðurstofa atingiu 27 centímetros às 9h de ontem e chegou a 40 centímetros... Leia mais

MetSul.com
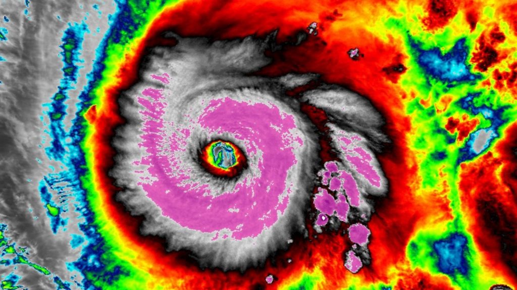
Como fica o ranking dos piores furacões do Atlântico após Melissa

Como fica o ranking dos piores furacões do Atlântico após Melissa

A história dos piores ciclones tropicais do Atlântico mudou hoje nos instantes que precederam a chegada do furacão Melissa à Jamaica, momento em que a tempestade atingiu sua intensidade máxima. Melissa tocou terra na Jamaica pouco depois das 13h desta terça-feira, hora de Brasília, com força devastadora e como um... Leia mais

Estael Sias