Geral

Outubro termina com chuva em parte do Rio Grande do Sul

Outubro termina com chuva em parte do Rio Grande do Sul

A chuva que atingiu o Rio Grande do Sul nos últimos dias ainda não abandonou o estado e, embora o tempo firme predomine na maior parte do território gaúcho, ainda chove nesta sexta-feira em alguns municípios.

Luiz F. Nachtigall
Chuva provoca inundações e deixa mortos em Nova York

Chuva provoca inundações e deixa mortos em Nova York

Duas pessoas morreram em Nova York na quinta-feira durante a passagem de uma intensa linha de tempestades que provocou chuvas torrenciais e inundações repentinas em várias áreas do Meio-Atlântico e do Nordeste dos Estados Unidos.

MetSul.com
Como será o clima em novembro

Como será o clima em novembro

Novembro é o último da primavera meteorológica, o trimestre de setembro a novembro, assim já estão presentes alguma características de verão. Notadamente, há aumento da chuva no Brasil Central e uma elevação da temperatura no Sul do país à medida que se aproxima a estação quente do ano.

Estael Sias
NOAA divulga imagens de voo dramático no interior do furacão; veja vídeo

NOAA divulga imagens de voo dramático no interior do furacão; veja vídeo

A Administração Nacional de Oceanos e Atmosfera dos Estados Unidos, a NOAA, divulgou vídeo com momentos dramáticos a bordo de um dos seus aviões caça-furacões em uma das últimas missões de reconhecimento dentro do furacão Melissa antes de a tempestade tocar terra na Jamaica na terça.

MetSul.com
Melissa se soma à superstição de terríveis furacões com letra “M”

Melissa se soma à superstição de terríveis furacões com letra “M”

Entre os observadores de furacões, há uma curiosa superstição que ganhou força: a chamada “maldição dos furacões com a letra M”. A ideia vem do número incomum de tempestades devastadoras que começaram com essa letra e tiveram seus nomes oficialmente aposentados — um reconhecimento reservado apenas aos ciclones mais mortais... Leia mais

Estael Sias
Como o cometa que virou sensação pode ajudar a proteger nosso planeta

Como o cometa que virou sensação pode ajudar a proteger nosso planeta

Um novo cometa interestelar, batizado de 3I/ATLAS, está cruzando o Sistema Solar e despertando o interesse da comunidade científica mundial. No Brasil, embora não represente nenhuma ameaça e não seja visível para o público, ganhou muita atenção com uma série de publicações sensacionalistas por parte de portais de internet.

MetSul.com
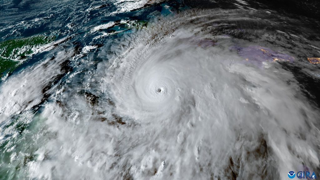
Furacão Melissa no Brasil? Só nas fake news!

Furacão Melissa no Brasil? Só nas fake news!

O furacão Melissa tocou terra na Jamaica na terça-feira e trouxe enorme destruição. No momento em que alcançou a Jamaica, o sistema era o terceiro furacão mais intenso já registrado no Atlântico Norte com ventos sustentados de 298 km/h e pressão central de 892 milibares.

MetSul.com
Até quando a chuva e o frio?

Até quando a chuva e o frio?

Nem parece que estamos quase em novembro. A influência de uma massa de ar frio, que trouxe até neve em diversas províncias da Argentina, com a instabilidade de um centro de baixa pressão, trouxe hoje mais um dia de temperatura muito abaixo da média da época do ano e com... Leia mais

Luiz F. Nachtigall