<span class="entry-title-primary">Frente fria avança e atinge nove estados neste começo de semana</span> <h2 class="entry-subtitle">Frente fria traz instabilidade neste início de semana em estados do Sudeste, Centro-Oeste e o Sul do Brasil</h2>
<span class="entry-title-primary">Veja onde mais vai ter chuva no Brasil nesta semana</span> <h2 class="entry-subtitle"> Confira a previsão da MetSul com mapa sobre a chuva no Brasil nesta semana e saiba onde mais deve chover no país</h2>
<span class="entry-title-primary">Duas massas de ar frio vão alcançar o Brasil em apenas dez dias</span> <h2 class="entry-subtitle">Fim de outubro e o começo de novembro serão marcados por temperaturas abaixo do normal com duas massas de ar frio em sequência </h2>
<span class="entry-title-primary">Chuva volumosa vai atingir o Sul do Brasil na semana; veja os volumes e áreas atingidas</span> <h2 class="entry-subtitle">Instabilidade persistente com chuva frequente vai provocar altos volumes nesta semana de precipitação no Sul do Brasil </h2>
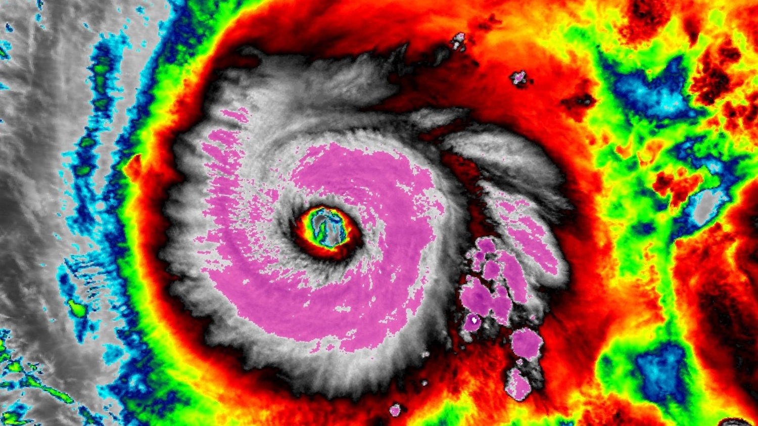
<span class="entry-title-primary">Meteorologista Estael Sias: cenário é desolador de catástrofe pelo furacão no Caribe</span> <h2 class="entry-subtitle">Furacão Melissa pode atingir o máximo da escala de intensidade e tem potencial catastrófico na Jamaica e Sul do Haiti </h2>
<span class="entry-title-primary">Frente fria chega em Porto Alegre com chuva fraca e arco íris duplo ; veja fotos</span> <h2 class="entry-subtitle">Frente fria alcançou a área de Porto Alegre no fim da tarde deste sábado com chuva fraca que trouxe arco íris duplo ao entardecer</h2>
<span class="entry-title-primary">JBN provoca vento de até 95 km/h no Rio Grande do Sul</span> <h2 class="entry-subtitle">Corrente de jato (JBN) trouxe fortes a muito fortes rajadas de vento do quadrante Norte neste sábado no Rio Grande do Sul </h2>
<span class="entry-title-primary">Nova frente fria avança neste fim de semana e muda o tempo; veja tudo o que sabemos</span> <h2 class="entry-subtitle">Frente fria avança pelo Sul do Brasil durante este fim de semana e muda o tempo com chuva nos três estados da região </h2>
<span class="entry-title-primary">Chuva que inunda Buenos Aires é segunda maior em dia de outubro em 119 anos</span> <h2 class="entry-subtitle">Chuva com volumes extremos na cidade de Buenos Aires tem segundo maior acumulado diário em outubro em mais de um século </h2>
<span class="entry-title-primary">Dilúvio alaga Buenos Aires com chuva de um mês em apenas duas horas; confira se vem para cá</span> <h2 class="entry-subtitle">Chuva excepcionalmente forte atingiu a cidade de Buenos Aires e sua área metropolitana na madrugada de hoje com até 150 mm</h2>